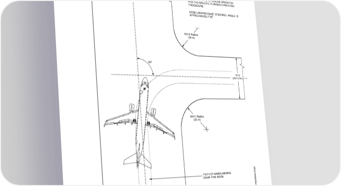
AIRPORT PLANNING MANUAL NOTE: 30 m COORDINATE WITH AIRLINE OPERATOR (98 ft 5 in.) FOR THE SPECIFIC PLANNED OPERATING PROCEDURE. NOSE LANDING GEAR STEERING ANGLE IS APPROXIMATELY 30. 100 ft Radius (30 m) 90° 15 m (49 ft 2 in.) 100 ft Radius (30 m) PATH OF MAIN LANDING GEAR TIRE EDGE. EM170APM040003.DGN 90° Turn - Runway to Taxiway Figure 4.5 EFFECTIVITY: ALL Section 4 Page 4-7 Dec08/03 b-apm1346
Airport Planning Manual Page 66 Page 68